Friday, September 14, 2018 by Mike Adams
http://www.bugout.news/2018-09-14-hurricane-florence-achieves-direct-hit-on-brunswick-nuclear-power-plant-in-southport-nc-pray-for-our-safety.html
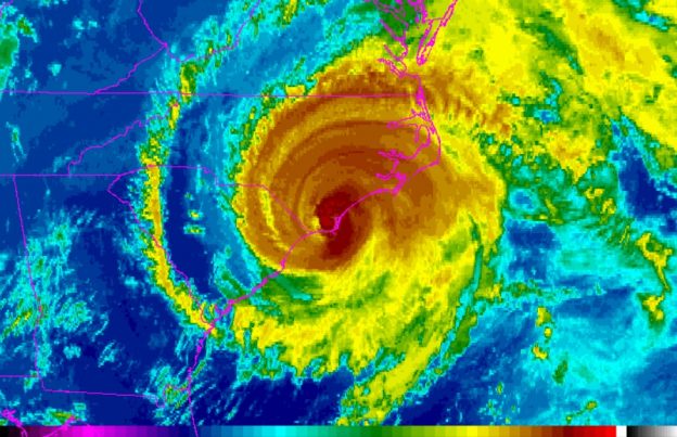
Hurricane Florence, which achieved landfall early Friday morning, has achieved a direct hit on the Brunswick nuclear power facility in Southport, NC. The eye of the hurricane — where the winds are the most severe — is right now swirling directly over the nuclear power containment buildings, battering them with 100+ MPH winds.
As Natural News reported earlier, there are at least twelve active nuclear power plants in the direct path of Hurricane Florence. Many Americans are concerned about whether these nuclear power facilities are prepared to survive a worst-case scenario of a direct hit.
Now, we know that direct hit has taken place. Thankfully, hurricane winds dropped from 140 MPH to around 100 MPH over the last 48 hours. This may be the saving grace that prevents these nuclear power plants from being severely damaged or destroyed by the storm.
As the map shows, below, the Brunswick power plant is located just South of Wilmington, North Carolina. This is precisely where the eye of the hurricane made landfall:

This is precisely where the eye of Hurricane Florence made landfall:

Here’s the National Hurricane Center’s animation and warning text:
NEW: #Hurricane #Florence has made landfall near Wrightsville Beach, North Carolina at 7:15 AM EDT (1115 UTC) with estimated maximum winds of 90 mph (150 km/h), and a minimum central pressure estimate of 958 mb (28.29"). https://t.co/tW4KeGdBFb pic.twitter.com/vzpe6MjTf9
— National Hurricane Center (@NHC_Atlantic) September 14, 2018
North Carolina officials are currently reporting that nearly half a million customers have lost power.
The Brunswick nuclear power plant is one of several that have been reportedly “shut down” before the storm’s arrival. But the media, not surprisingly, has been systematically lying to the public about these shut downs.
Nuclear power plants require weeks of cooling pumps to function for an effective shutdown. They can’t simply be switched off in an instant like a light switch. If the cooling pumps fail at any time during the weeks-long shutdown procedure, the nuclear fuel rods can boil off the coolant water and rise in temperature until a nuclear meltdown occurs.
None of this is being reported to the public by the lying media, which routinely whitewashes the risks of nuclear power.
At this point, all we can do is hope and pray the Brunswick nuclear facilities withstand the winds and floods of the storm. Even if something goes wrong with one or more of these facilities, rest assured the media will lie and cover it up even while radiation is released into the atmosphere, just like they all did during the Fukushima catastrophe.
Stay informed. Read Nuclear.news and check for storm update videos on REAL.video.
Tagged Under: Tags: Brunswick nuclear power plant, Flooding, Fukushima, Hurricane Florence, natural disaster, North Carolina, nuclear, Nuclear Accident, nuclear power, radiation, SHTF, storm, storm surge