Sunday, September 29, 2024 by Cassie B.
http://www.bugout.news/2024-09-29-damage-florida-catastrophic-hurricane-helene.html
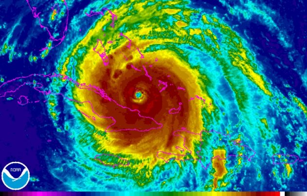
One of the biggest storms ever recorded in the Gulf of Mexico made landfall in Florida overnight, pounding the state with torrential rainfall and dangerous winds as it reached the “extremely dangerous” Category 4 designation thanks to sustained winds of 140 miles per hour. Now, 61 out of 67 counties in Florida are under a state of emergency.
The hurricane, the strongest on record to make landfall in the Big Bend region of Florida, hit around 10 miles to the west/southwest of the city of Perry and is now threatening much of the Southeast with potentially deadly flash flooding, record-setting river flooding, damaging winds, and the potential for tornadoes.
Reports are still coming in from the affected areas, with power outages slowing the flow of footage depicting the storm’s aftermath. Here’s a look at some of the devastation we know about so far and what we can expect moving forward.
A major concern ahead of Helene was the likelihood of a storm surge that was being described as potentially “unsurvivable” given the storm’s massive size. Major surges have already been reported in places like St. Pete Beach and Sunset Beach, where local fire rescue said it cannot respond to any more calls due to extensive flooding.
Clearwater Beach saw a surge of more than 7 feet, marking its highest surge since at least 1993, while homes in Steinhatchee could be seen in video footage being washed away in fast-moving waters. Storm surges are a concern for all of Florida’s west coast and Big Bend region.
The National Hurricane Center warned: “A catastrophic and deadly storm surge is likely along portions of the Florida Big Bend coast, where inundation could reach as high as 20 feet above ground level, along with destructive waves.”
Helene’s torrential rain is posing a significant flash flooding risk as streams and rivers spill out of their banks and onto roads and into neighborhoods, trapping numerous residents.
Multiple flash flood emergencies have been issued from the Southeast stretching up through the mid-Atlantic. Residents in places like Waynesville, North Carolina and Sandy Springs, Georgia, are under evacuation orders as a result of flooding.
The storm has left more than 3.2 million customers across the Southeast without power, including more than 1.25 million in Florida, 900,000 in Georgia, and 800,000 in South Carolina. These numbers are expected to rise as high wind warnings and wind advisories extend through the Ohio, Tennessee and mid-Mississippi valleys. Some cities in Georgia have already seen wind gusts of over 90 miles per hour, and numerous downed trees are already being reported.
In St. Petersburg, some residents have been instructed to avoid taking showers, flushing toilets, doing laundry or draining water as one of the city’s sewer treatment plants went offline; it will take at least 48 hours to resume operations.
Just before Helene made landfall, a driver was killed outside of Tampa Bay after a sign fell onto their vehicle, and Florida Governor Ron DeSantis said in a briefing this morning that another individual was killed in Dixie County when a tree fell onto their home.
Two individuals died in a mobile home in Georgia as the storm hit the coast. In North Carolina, meanwhile, a tree fell onto a home in Charlotte, trapping two individuals inside, one of whom was found dead.
It is still early to say precisely how many deaths and injuries the storm will be responsible for, but emergency crews in Florida and Georgia are seeing numerous reports of individuals being trapped in homes and vehicles. The Pasco County Sheriff’s Office has already responded to more than 100 water rescue calls, with at least 65 people being rescued so far and multiple other rescues currently in progress. Fire crews are using boats in Georgia to rescue families who have been trapped in their homes by floodwater near Peachtree Creek.
The storm is now moving on a path that will take it past Atlanta. Downtown Atlanta is now under the first flash flood emergency declaration in the city’s history. Meteorologists expect hurricane-force wind gusts across Tallahassee and into Georgia as the storm continues to head inland, with its vast size and alarming speed making it likely to maintain its strength further inland than we see with most hurricanes despite already being downgraded.
Florida, Georgia, Alabama, South Carolina, North Carolina and Virginia have all declared emergencies so far, and 60 million people across 12 states are now under storm watches and warnings.
Sources for this article include:
Tagged Under: Tags: disaster, electricity, environ, Flooding, Florida, Helene, hurricane, natural disaster, power outages, power supply, preparedness, storm surge, survival, violence, weather terrorism
By Ethan Huff
COPYRIGHT © 2017 · BUGOUT NEWS
